Marjoleine schreef:Een oorzaak niet maar als de aanleg er is kan het wel meespelen in hoe zich dat ontwikkelt.Saar2012 schreef:Ik weet het, maar het is wel vervelend voor die kleine en ja toch familie dus Saar kan er aanleg voor hebben dan. Vraag me toch af of het kan komen doordat Joep van jongs af aan 2 dagen per week naar de dagopvang is geweest waar hij de hele dag speelt met waarschijnlijk te weinig rust. Kan dat een oorzaak zijn of is dat niet mogelijk?
Ster topic:
Kijk je naar goedkopere alternatieven voor je hond nu alle de prijzen zo uit de bocht vliegen?
Ster topic! Klik hier om te reageren
Ben je nieuw en wil je een account maken? Klik hier!
Een (zeer) beknopte handleiding voor nieuwe leden vind je hier: Klik!
Het hondenforum team stelt zich hier voor: Klik!
Laatste wijziging 23-03-2022
Wil je deze forummededeling niet meer zien? klik dan rechtsboven in dit vak
Kijk je naar goedkopere alternatieven voor je hond nu alle de prijzen zo uit de bocht vliegen?
Ster topic! Klik hier om te reageren
Ben je nieuw en wil je een account maken? Klik hier!
Een (zeer) beknopte handleiding voor nieuwe leden vind je hier: Klik!
Het hondenforum team stelt zich hier voor: Klik!
Laatste wijziging 23-03-2022
Wil je deze forummededeling niet meer zien? klik dan rechtsboven in dit vak
Broertje van Saar heeft HD
Moderator: moderatorteam
- malinois
- Zeer actief
- Berichten: 57865
- Lid geworden op: 16 aug 2003 18:40
- Mijn ras(sen): (X) Mechelse herder
- Aantal honden: 3
- Contacteer:
Re: Broertje van Saar heeft HD

In liefdevolle herinnering aan Xena v.d. Lobo Hoeve 12.08.2001 - 15.06.2016 & Xito v.d. Lobo Hoeve 04.01.06 - 21.08.14 Website Mechelse herders Facebooksite Xygan Facebooksite Xavi
- CKS
- Zeer actief
- Berichten: 3442
- Lid geworden op: 23 sep 2006 04:51
Re: Broertje van Saar heeft HD
He bah. Maar ze zijn er op tijd bij, en dat is een groot voordeel. Ik zou jou aanraden ook Saar's heupen te laten röntgenen, liefst zo snel mogelijk. Ze is nu nog te jong om een definitieve beoordeling te kunnen geven, maar als haar heupen ook zo slecht zouden zijn als die van haar broertje dan is dat uiteraard prima vast te stellen en jij hebt dan ook nog de mogelijkheid er iets aan te laten doen. Saar hoeft natuurlijk geen slechte heupen te hebben, maar ze loopt wel een vergroot risico omdat heupdisplasie nu eenmaal grotendeels erfelijk is.Saar2012 schreef:Reactie van baasje van Joep gekregen:
Bericht gekregen van de orthopeed. Joep heeft officieel HD aan beide heupen.
Advies is 2x een bekkenkantel operatie. Maandag ga ik bellen voor een intake gesprek, maar het staat voor mezelf wel al vast dat ik die ga laten uitvoeren.![]()
Ter illustratie wat röntgenfotos die kort geleden genomen zijn in de kliniek waar ik nu werk:
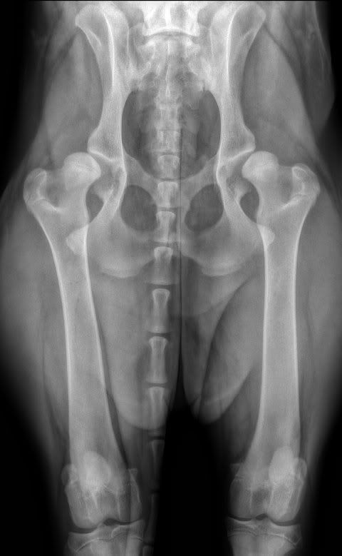
De eerste foto is van een 6 maanden oude labrador, die een vreemd loopje heeft en mankt. Gezien het ras en het vreemde loopje een röntgenfoto genomen:

Deze heupen zien er prima uit. Uiteraard zegt dat nog niet dat ze op 18 maanden leeftijd nog steeds perfecte heupen heeft, ze is nu nog te jong en bovendien is de röntgenfoto niet goed genoeg genomen om dat met zekerheid te kunnen zeggen. Wel is volstrekt duidelijk dat het manken niet door de heupen komt (ze bleek de kruisbanden van beide knieën gescheurd te hebben, wordt volgende week waarschijnlijk geopereerd). Zelfs als de heupen later toch achteruit gaan is het ondenkbaar dat zij ooit een bekkenkanteling nodig zou hebben.
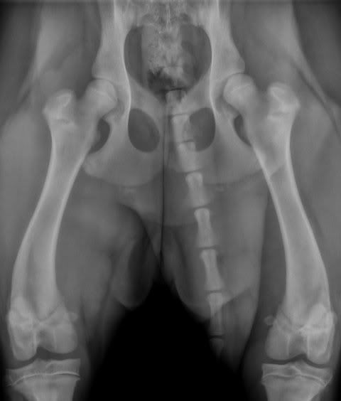
Dan een ander geval: een Sint Bernard teef van ruim 7 maanden oud. Ook binnengebracht wegens manken.

Dit zijn schokkend slechte heupen. Beide heupkoppen liggen half uit de kom. Ook hier kan geen definitieve kwalificatie gegeven worden omdat de teef nog te jong is maar dit zijn en blijven waardeloze heupen. Een D of een E zal het hoogst haalbare zijn op de leeftijd van 18 maanden.
Als we even inzoomen op de rechter heup:

Dan is er ondanks de zeer jonge leeftijd al artrosevorming te zien. Het blauwe pijltje geeft sclerose aan: het lichaam depositeert meer mineraal om het bot te versterken, vandaar de witte lijn. Het roze pijltje geeft nieuw gevormd bot aan, dit is een poging het gewricht te stabiliseren. Bij het groene pijltje lijkt er al sprake te zijn van een osteofyt.
Deze hond is nu nog een geschikte kandidaat voor een bekkenkanteling. Zonder die ingreep zal deze hond ongetwijfeld ernstig last krijgen. Ondanks dat er al wat artrose is zijn de vooruitzichten nu nog goed. Er moet niet gewacht worden want als deze hond pas op de leeftijd van een jaar geopereerd wordt dan heeft zelfs de bekkenkanteling waarschijnlijk amper zin meer omdat het gewricht dan waarschijnlijk al verwoest is door artrose.
Marjoleine: het is absoluut ondenkbaar dat deze hond ooit nog A of B of zelfs C heupen zou krijgen. Deze heupen zijn al heel slecht, en worden alleen nog maar slechter. Je hoeft bepaald geen specialist te zijn om dat vast te stellen, ook een gewone dierenarts hoeft m.i. dus niet 'terughoudend' te zijn in de diagnose. Ik ben heel benieuwd of jij wel fotos kunt plaatsen van de gevallen die eerst bekkenkanteling zouden zijn maar vervolgens een A gekregen hebben. Kijken of ik snap wat daar fout gegaan is.
Het manken van deze teef kwam overigens NIET door de heupdysplasie, maar door groeipijnen..... maar dankzij de groeipijnen is de röntgenfoto genomen waardoor de HD mogelijk nog behandeld kan worden. Geluk bij een ongeluk dus.
Ik blijf natuurlijk hopen dat er met Saar niets aan de hand is, en dat is nog steeds prima mogelijk. Maar ik zou het zelf wel even laten nakijken.
Groetjes,
Kees
-
S@ndr@
- Zeer actief
- Berichten: 63931
- Lid geworden op: 24 jul 2006 14:13
Re: Broertje van Saar heeft HD
Ik heb het toen met Baco gehad, het gevoel dat het niet klopte, als pup al niet. heel eerlijk, ik zou het zo vroeg mogelijk onderzoeken, dan weet je ook wat, maar vergeet niet de rest van de hond mee te nemen, want als het op meer fronten niet goed is, heeft alleen de heupen aanpakken weinig zin, en moet je misschien gaan nadenken over hoe en wat.